CALL US
031-99005099
Toggle navigation
Your REAL ESTATE Specialist
Home
Search Property
Secondary
Primary
Agent
About Us
Contact Us WINSTON INDONESIA
Titip Property
News
WINNERS ANNUAL AWARD 2025
Rank
Secondary
/ Tanah Di Perum. Citraland Jazirah Golf Surabaya Barat
Tanah Dijual Surabaya Barat
DETAIL
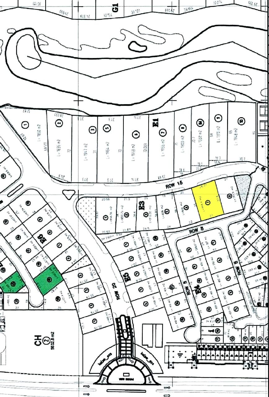
Alamat
Perum. Citraland Jazirah Golf
Harga Jual
Rp 15,872,000,000
Type
Tanah
Surat
HGB
Transaksi
Jual
Lokasi
Surabaya Barat
Luas Tanah / Luas Bangunan
992m2 m2 / m2
Orientasi
Timur Laut
Listrik
Lantai
Info Tambahan
Lt 992m2 (26.5x37 )
HGB
Hadap timur
Harga per meter 15.872 Juta Nego
CONTACT AGENT
Melly
DETAIL
PROPERTY LAINNYA
Tanah Dijual Surabaya Barat
Greenland, Surabaya Barat
Rp. 2,112,000,000
264 m2
Yanti
81927949999 / 081927949999
Tanah Dijual Surabaya Barat
Greenland cluster Armaya
Rp. 6,000,000
162 m2
Naomi Lin
+62 878-5367-8999 / 087853678999
Tanah Dijual Surabaya Barat
Bukit Palma, Citraland
Rp. 6,700,000
205 m2
Billy C
+62 813-3304-0909 / +62 813-3304-0909
Tanah Dijual Surabaya Barat
Teluk Golf, Citraland
Rp. 16,800,000
1053 m2
Naomi Lin
+62 878-5367-8999 / 087853678999